浙江台州交投港务有限公司港区内1#和2#堆场租赁项目
| 挂牌价格 | 81.84 万元/年 |
|---|---|
| 出租面积 |
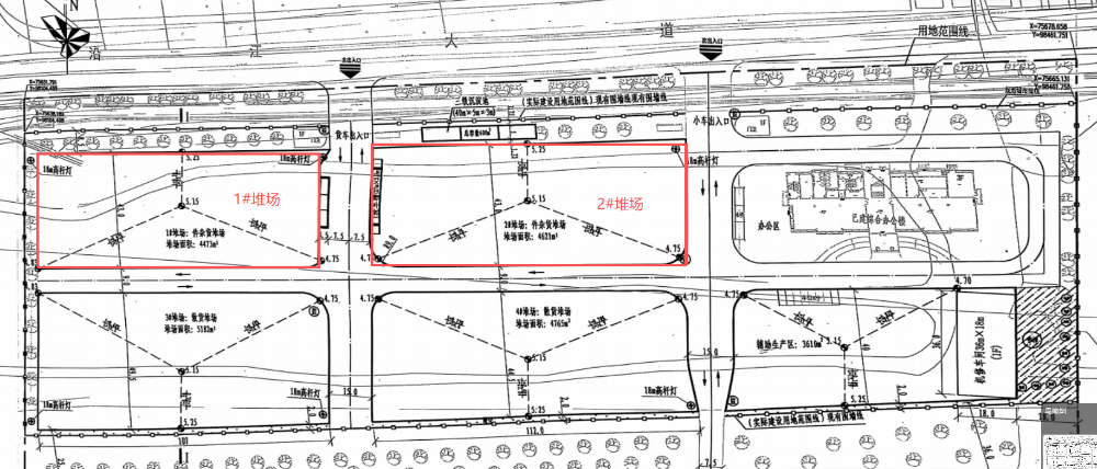
1#堆场4473㎡、2#堆场4621㎡,合计9094㎡。 |
| 信息披露起始日期 | 2025-10-14 |
|---|---|
| 信息披露截止日期 | 2025-10-27 |
| 出租标的地址 | 浙江省台州市椒江区前所街道安海路699号 |
| 交易机构 |
项目咨询请联系 江先生|联系电话:0576-88685180 |
-
出租方承诺
我方拟出租有权处置/受托管理的资产,并通过“浙交汇”平台公开披露资产出租信息和组织交易活动,依照公开、公平、公正和诚信的原则作如下承诺:
(1)本次出租是我方真实意思表示,出租标的权属清晰,除已披露的事项外,我方对该资产拥有完全的处分权且不存在法律法规禁止或限制交易的情形。
(2)本次出租已履行了相应程序,经过有效的内部决策,并获得相应批准;
(3)我方所提交的出租申请及相关材料真实、完整、准确、合法、有效,不存在虚假记载、误导性陈述或重大遗漏;
(4)我方在交易过程中自愿遵守有关法律法规和“浙交汇”平台相关交易规则及规定,恪守出租公告约定,按照相关要求履行我方义务;
(5)我方已认真考虑本次出租行为可能导致的企业经营、行业、市场、政策以及其他不可预计的各项风险因素,愿意自行承担可能存在的一切交易风险;
(6)我方已如实、完整地披露标的资产状况,并在标的资产出租后积极协助承租方办理资产交接手续,若发生资产交接纠纷,由我方负责解决;
(7)若标的资产存在优先承租权人的,我方将履行通知义务,包括但不限于通知并要求原承租人按公告的要求办理意向登记手续并参与竞价活动等;
(8)在本次出租活动、《租赁合同》签订及后续履行过程中发生的一切纠纷,均由我方自行解决,与“浙交汇”平台无关。
我方保证遵守以上承诺,如违反上述承诺或有违规行为,给交易相关方及台州产权交易所和和“浙交汇”平台造成损失的,我方愿意承担相应的赔偿责任及其他法律责任。 -
标的基本情况
出租土地基本情况 坐落位置 椒江区前所街道安海路699号 土地证号 浙(2021)台州椒江不动产权第0020054号 土地面积 9094.0000平方米 用途 港口码头用地/其他 类型 国有建设用地使用权 使用年限 已使用年限 使用期限 标的状态 2#堆场空置;1#堆场出租中(1#堆场原合同于2025年10月31日截止。) 其他权利情况 无 其他披露事项 1.权证相关信息:浙(2021)台州椒江不动产权第0020054号。 2.出租标的现有装修及设施、设备情况:以堆场交付现状为准。2#堆场空置,1#堆场出租中(1#堆场原合同于2025年10月31日截止。)。 3.是否办理抵押登记:无。 4.是否设立居住权:无。 5.竞买方报名前需进行实地勘察,标的实际出租位置及面积,以现场实地勘察及咨询出租方为准。现场实地勘察联系人:周先生:13819638185。 6.其他重要需披露的事项: (1)租赁时长为2年,租赁期内租金不变。租金一年一付,第一年租金签约时支付,第二年租金在第一年到期前1个月支付。 (2)合同起止日期以实际签订时间为准。未经产权人同意,不得转租。 (3)项目成交后,承租人应在7天内与出租方签订《堆场租赁合同》、《港口货物装卸合同》、《安全管理协议》及《环保管理协议》。
-
出租方简况
出租方基本情况 出租方名称 浙江台州交投港务有限公司 联系人 周洪 联系方式 固定电话:0576-88805523 联系地址 浙江省台州市椒江区前所街道安海路699号 -
交易条件与资格条件
交易条件 租金挂牌价 81.84 万元/年 是否有保留价 无 租金挂牌价备注 租赁期限2年,租期内租金不变。
权利人是否放弃优先承租权 不涉及 租金支付要求 租赁期内租金不变,租金一年一付,第一年租金签约时支付,第二年租金在第一年到期前1个月支付。
出租用途 用于在浙江台州交投港务有限公司码头装卸的砂、石料堆放、中转。不得堆放重污染货物。 与交易相关的其他条件 1.履约保证金: 48万元(肆拾捌万元整),需在签订协议前转入出租方指定账户 。 2.承租方须按照相关法律法规自行办妥经营证照、经营许可证等相关证照及手续,并自行完善相关配套设施,如依法需由出租方提供有关资料办理的,出租方协助提供。 承租方须在承租前自行对出租标的进行全面了解,并对营业所需的各项审批条件和规定进行充分自核。承租方参与竞租的行为将被认为已作充分的预判和决策,无论因何种原因导致不能获得营业开设审批(包括土地规划用途和既有结构、设计等因素在内),或后续因为政策变化导致无法继续开设的各项经营风险,承租方承诺独立承担,出租方不对无法履行、投入成本、装修损失等承担任何形式的赔偿或补偿责任。 3.出租标的使用过程中的水、电、管理费由承租方承担,具体以租赁合同约定为准。 4.出租标的按现状交付使用。 5.承租方承租标的后需添加场内设施的,需书面报出租方审核通过后方可进行。 6.出租标的目前处于使用中,如非原承租方承租,需原承租方腾退后7天内签订租赁合同。承租方应理解出租方在清退原承租方工作方面的复杂性,如竞得后20个工作日内交付的按租赁期顺延处理,超过20个工作日的双方协商处理。如自项目成交后第40个工作日内双方仍未签订租赁合同的,项目自动终结,出租方有权收回标的或收回后重新挂牌。如原承租方承租,承租方与出租方应在项目成交后7天内签订租赁合同,如自项目成交后第20个工作日内双方仍未签订租赁合同的,项目自动终结,出租方有权收回标的或收回后重新挂牌。 7.承租方竞得后不得变更签约人,不得对出租标的进行转租、分租、调换使用或抵押。 8.租赁合同中除承租方相关信息及“租金价格”条款等手填条款外,其他条款均已确定而不得修改。 9.本项目交易服务费按《台州市产权交易所公司交易业务收费标准》,向受让方收取年总租金1%的交易服务费(本次按2年总租金计算)。 10.承租方承诺年码头装卸量不少于52万吨,按9元/吨支付卸船直提装卸费,每月结算考核;月度装卸量不足4.3万吨,按4.3万吨预收装卸费;全年码头装卸量达不到52万吨的,按52万吨收取装卸费,不能用下一年度的装卸量来抵充。如年装卸量大于52万吨的,超额部分的装卸量费用仍当月进行结算,超额部分的装卸量可以统计到下一年度考核中,具体以合同约定为准。港区内短驳、装车、堆高等作业由承租方自行负责。承租方的自卸船舶业务,在码头泊位空闲时安排装卸,装卸费按4.85元/吨支付,年码头装卸量按50%进行统计。 11.租赁期间,承租方应自觉遵守国家的法律法规,合法经营,依法纳税,服从消防、公安、环保、税务、港航等部门的监督和管理,做好相关安全措施,接受出租方的日常管理。若承租方使用管理不当或其他原因造成人身伤害、财产损失等事故,产生的包含经济赔偿在内的一切责任均由承租方承担,与出租方无关。
租期 2年 有无免租期 无 承租方资格条件 意向方应为依法设立并有效存续的法人、非法人组织或具有完全民事行为能力的自然人。
保证金事项 交纳金额(万元) 10.00 交纳时间 信息披露期满前交纳。意向方需在保证金交纳截止日17:00前交纳保证金(以“浙交汇”平台保证金订单完成支付为准)。 温馨提示 因技术、网络等原因,您的资金汇入银行账户后,在“浙交汇”平台-“我的账户”中的到账时间可能发生迟延,请在截止时间前尽早汇入资金。 交纳方式 网上银行;银行转账 保证金扣除条款 1.竞买活动结束后,未被确定为承租方的竞买方,且未出现“浙交汇”平台规定应当扣除或不予退还竞买保证金情形的,其已递交的保证金在竞价活动结束后五个工作日内无息原路返还至竞买方的“我的账户”中。2.项目成交(即竞买方被确定为承租方)后,其交纳的竞买保证金扣除其应交交易服务费后的余额自动转为立约保证金,在出租方递交备案交易合同后五个工作日内无息原路返还至承租方的“我的账户”中。
-
信息披露其他事项
披露信息 信息披露期 公告之日起10个工作日 信息发布期满后,如未征集到意向承租方 延长信息披露,不变更信息披露内容,按照5个工作日为一个周期延长,最多延长2个周期。 是否自动延牌 是 延牌情况 目前已延长0个周期,已延长0个工作日 遴选方式 动态报价 遴选方案主要内容 1、公告挂牌期:自信息披露起始日至信息披露期满日下午5时整止,期间征集意向承租方并办理线上报名登记手续。符合承租方条件的意向承租方应在信息披露期满日下午5时(报名截止时间)前在“浙交汇”平台完成线上报名手续并完成保证金订单支付,逾期无效。 2、挂牌期满后,如未征集到合格竞租人,则延长信息披露:不变更挂牌条件,按照5个工作日为一个周期延长,延长两个周期。 3、挂牌期满后,如征集到一家(或一家以上)符合条件的竞租方,则按动态报价结果确定成交价和承租方。
项目附件 《授权委托书》 .doc 《浙交汇意向方报名时所需文本》 .doc 《堆场租赁合同》、《港口货物装卸合同》、《安全管理协议》及《环保管理协议》.docx 《报名所需材料清单及说明》 .docx 《特别事项约定》.doc 《实地勘察证明》 .doc -
标的物位置
-
联系方式
交易机构 联系人 江先生 电话 0576-88685180 传真 邮箱 地址 浙江省台州市市府大道777号浙江民泰商业银行五楼510、511室 网址 https://www.tzcqpt.com/TZPT/
